أجلت غوام سكّان مناطقها الساحلية تحسّبا لوصول ماوار، الإعصار العملاق الذي يُتوقّع أن يجتاح الجزيرة الأميركية الواقعة في المحيط الهادئ اعتبارا من الأربعاء.
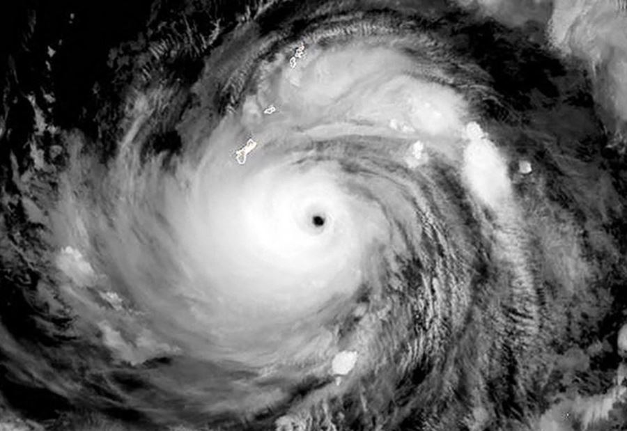
وفي الساعة السابعة من صباح الأربعاء (21,00 بتوقيت غرينيتش الثلاثاء)، كان ماوار على بُعد حوالي 110 كلم من الجزيرة، ترافقه رياح تصل سرعتها إلى ما يقرب من 225 كلم/ساعة، بحسب أحدث نشرة للأرصاد الجوية الأميركية.
وقالت الأرصاد الجوّية في نشرتها إنّه "من المتوقّع أن يمرّ الإعصار ماوار جنوبي غوام أو فوقها".
وأضافت أنّ هذا الإعصار العملاق (سوبر تايفون) يشكّل "تهديداً ثلاثياً" إذ يرجّح أن يجلب معه "رياحاً عاتية" و"أمطاراً طوفانية" وأن يؤدّي إلى "فيضان ساحلي قد يكون مميتاً".
وحذّرت الأرصاد الجوية في نشرتها من أنّ هذا التهديد لا يقتصر على غوام بل يشمل أيضاً روتا، الجزيرة الأميركية الأخرى في أرخبيل ماريانا.
وإزاء مخاطر الفيضان الساحلي، أمرت سلطات غوام سكّان المناطق الساحلية بإخلائها و"الاحتماء فوراً"، مشيرة إلى أنّ الأرصاد تتوقّع أن ترافق الإعصار لدى وصوله الأربعاء رياح مدمّرة تزيد سرعتها عن 140 كلم/ساعة.
ويبلغ عدد سكّان غوام حوالي 170 ألف نسمة.
وقالت حاكمة غوام لو ليون غيريرو: "أنا قلقة على سلامة سكّاننا. هذه أقوى عاصفة منذ 20 عاماً"، داعيةً إيّاهم إلى "الاحتماء على الفور".
ومنذ الثلاثاء أعلن الرئيس جو بايدن حالة الطوارئ في غوام كي تتمكّن السلطات الفدرالية من تقديم المساعدة للجزيرة، بحسب ما أفاد البيت الأبيض.
ويتمركز ما يقرب من 22 ألف جندي أميركي وأفراد أسرهم في جزيرة غوام.
وأعلن مطار "إيه بي وون بات" الدولي، أنّه بسبب الإعصار تمّ إلغاء حوالي 60 رحلة جوية كان مقرراً أن تهبط في غوام أو تقلع منها بين الثلاثاء والخميس.
تــابــــع كــل الأخــبـــــار.
إشترك بقناتنا على واتساب


Follow: Lebanon Debate News